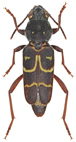
Rodzaj: Xylotrechus Chevrolat, 1860 (5/5)
antilope arvicola capricornis ibex pantherinus rusticus Rodzina Lista rodzin Lista rodzajów Lista gatunków Piśmiennictwo Wstęp Początek
Rodzina Lista rodzin Lista rodzajów Lista gatunków Piśmiennictwo Wstęp Początek