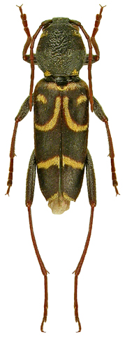
4135. Xylotrechus antilope (Schönherr, 1817)

Rodzaj
Rodzina
Lista rodzin
Lista rodzajów
Lista gatunków
Piśmiennictwo
Wstęp
Początek