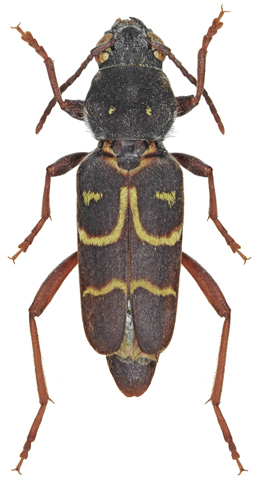
5959. Xylotrechus capricornus (Gebler, 1830)

samica

Rodzaj
Rodzina
Lista rodzin
Lista rodzajów
Lista gatunków
Piśmiennictwo
Wstęp
Początek