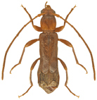
Rodzaj: Nathrius Brethes, 1916 (1/1)
brevipennis Rodzina Lista rodzin Lista rodzajów Lista gatunków Piśmiennictwo Wstęp Początek
Rodzina Lista rodzin Lista rodzajów Lista gatunków Piśmiennictwo Wstęp Początek