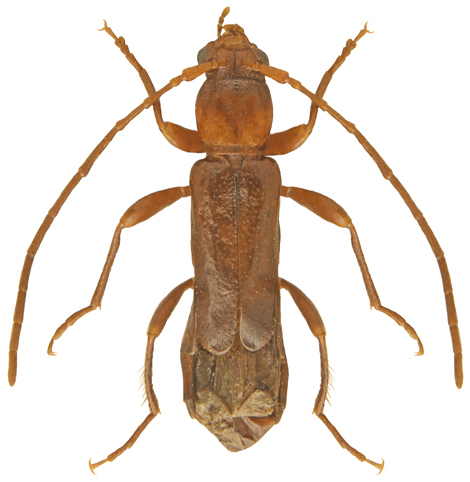
4106. Nathrius brevipennis (Mulsant, 1839)

samica

Rodzaj
Rodzina
Lista rodzin
Lista rodzajów
Lista gatunków
Piśmiennictwo
Wstęp
Początek