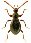
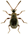
Rodzaj: Euconnus Thomson, 1859 (9/10)
claviger denticornis fimetarius hirticollis maklinii pragensis pubicollis rutilipennis transsylvanicus wetterhallii Rodzina Lista rodzin Lista rodzajów Lista gatunków Piśmiennictwo Wstęp Początek
claviger denticornis fimetarius hirticollis maklinii pragensis pubicollis rutilipennis transsylvanicus wetterhallii
Rodzina Lista rodzin Lista rodzajów Lista gatunków Piśmiennictwo Wstęp Początek