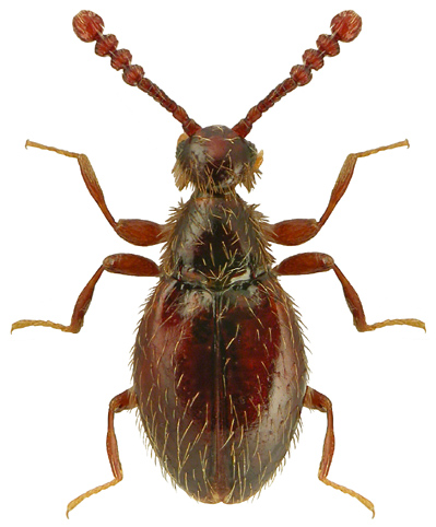
1134. Euconnus claviger (Müller et Kunze, 1822)

Rodzaj
Rodzina
Lista rodzin
Lista rodzajów
Lista gatunków
Piśmiennictwo
Wstęp
Początek