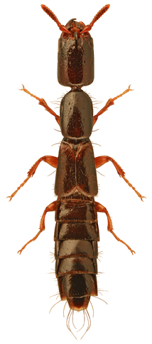
1618. Zeteotomus brevicornis (Erichson, 1839)


Rodzaj
Rodzina
Lista rodzin
Lista rodzajów
Lista gatunków
Piśmiennictwo
Wstęp
Początek