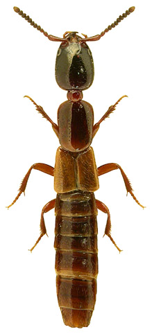
1636. Xantholinus laevigatus Jacobsen, 1849

Rodzaj
Rodzina
Lista rodzin
Lista rodzajów
Lista gatunków
Piśmiennictwo
Wstęp
Początek