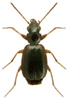
Rodzaj: Syntomus Hope, 1838 (4/4)
foveatus obscuroguttatus pallipes truncatellus Rodzina Lista rodzin Lista rodzajów Lista gatunków Piśmiennictwo Wstęp Początek
foveatus obscuroguttatus pallipes truncatellus
Rodzina Lista rodzin Lista rodzajów Lista gatunków Piśmiennictwo Wstęp Początek