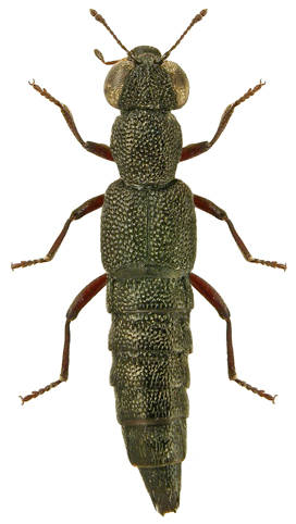
1503. Stenus nigritulus Gyllenhal, 1827

Rodzaj
Rodzina
Lista rodzin
Lista rodzajów
Lista gatunków
Piśmiennictwo
Wstęp
Początek