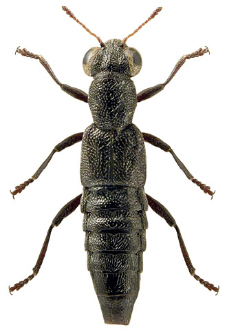
1516. Stenus bifoveolatus Gyllenhal, 1827

Rodzaj
Rodzina
Lista rodzin
Lista rodzajów
Lista gatunków
Piśmiennictwo
Wstęp
Początek