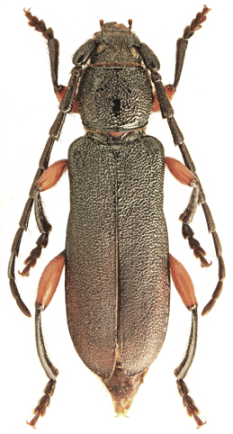
4121. Ropalopus varini (Bedel, 1870)


samica

Rodzaj
Rodzina
Lista rodzin
Lista rodzajów
Lista gatunków
Piśmiennictwo
Wstęp
Początek