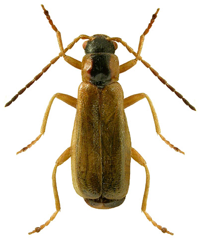
2945. Rhagonycha testacea (Linnaeus, 1758)

Rodzaj
Rodzina
Lista rodzin
Lista rodzajów
Lista gatunków
Piśmiennictwo
Wstęp
Początek