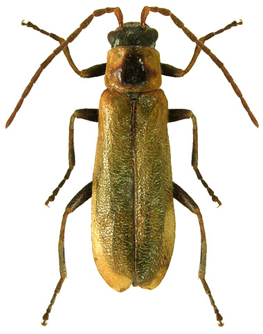
5880. Rhagonycha maculicollis Maerkel, 1852

Rodzaj
Rodzina
Lista rodzin
Lista rodzajów
Lista gatunków
Piśmiennictwo
Wstęp
Początek