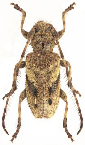
4171. Pogonocherus decoratus Fairmaire, 1855


samiec

Rodzaj
Rodzina
Lista rodzin
Lista rodzajów
Lista gatunków
Piśmiennictwo
Wstęp
Początek