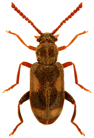
3902. Phytobaenus amabilis Sahlberg, 1834


Rodzaj
Rodzina
Lista rodzin
Lista rodzajów
Lista gatunków
Piśmiennictwo
Wstęp
Początek