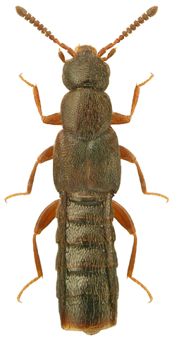
2269 i 2270. Phloeopora corticalis (Gravenhorst, 1802)

Rodzaj
Rodzina
Lista rodzin
Lista rodzajów
Lista gatunków
Piśmiennictwo
Wstęp
Początek