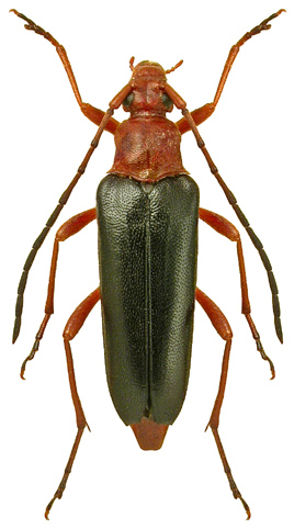
4083. Pedostrangalia revestita (Linnaeus, 1767)

Rodzaj
Rodzina
Lista rodzin
Lista rodzajów
Lista gatunków
Piśmiennictwo
Wstęp
Początek