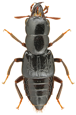
1443. Oxyporus mannerheimi Gyllenhal, 1827


Rodzaj
Rodzina
Lista rodzin
Lista rodzajów
Lista gatunków
Piśmiennictwo
Wstęp
Początek