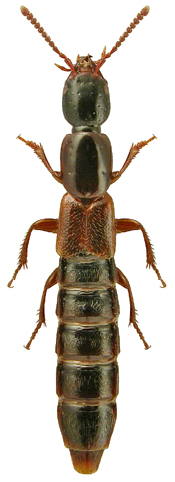
1651. Othius lapidicola Märkel & Kiesenwetter, 1848

Rodzaj
Rodzina
Lista rodzin
Lista rodzajów
Lista gatunków
Piśmiennictwo
Wstęp
Początek