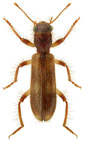
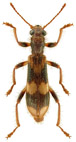
Rodzaj: Opilo Latreille, 1802 (4/4)
domesticus germanus mollis pallidus taeniatus Rodzina Lista rodzin Lista rodzajów Lista gatunków Piśmiennictwo Wstęp Początek
Rodzina Lista rodzin Lista rodzajów Lista gatunków Piśmiennictwo Wstęp Początek