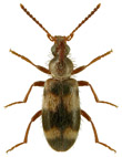
Rodzaj: Notoxus Geoffroy, 1762 (4/3)
appendicinus brachycerus monoceros trifasciatus Rodzina Lista rodzin Lista rodzajów Lista gatunków Piśmiennictwo Wstęp Początek
Rodzina Lista rodzin Lista rodzajów Lista gatunków Piśmiennictwo Wstęp Początek