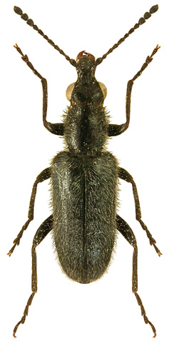
4833. Nemonyx lepturoides (Fabricius, 1801)

Rodzaj
Rodzina
Lista rodzin
Lista rodzajów
Lista gatunków
Piśmiennictwo
Wstęp
Początek