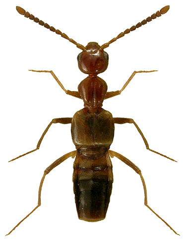
5827. Myrmecocephalus concinnus (Erichson, 1839)

Rodzaj
Rodzina
Lista rodzin
Lista rodzajów
Lista gatunków
Piśmiennictwo
Wstęp
Początek