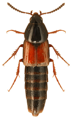
1861. Mycetoporus longulus Mannerheim, 1830

Rodzaj
Rodzina
Lista rodzin
Lista rodzajów
Lista gatunków
Piśmiennictwo
Wstęp
Początek