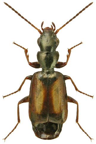
4998. Microlestes plagiatus (Duftschmid, 1812)

Rodzaj
Rodzina
Lista rodzin
Lista rodzajów
Lista gatunków
Piśmiennictwo
Wstęp
Początek