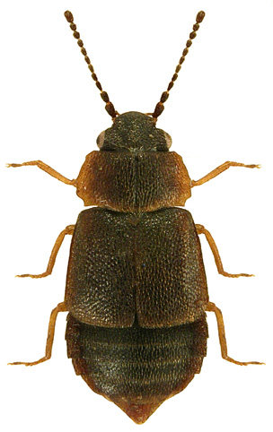
1234. Megarthrus bellevoyei Saulcy, 1862

Rodzaj
Rodzina
Lista rodzin
Lista rodzajów
Lista gatunków
Piśmiennictwo
Wstęp
Początek