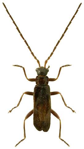
2958. Macrocerus nigrinus (Schaufuss, 1866)

Rodzaj
Rodzina
Lista rodzin
Lista rodzajów
Lista gatunków
Piśmiennictwo
Wstęp
Początek