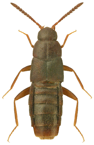
2080. Lyprocorrhoe anceps (Erichson, 1837)

Rodzaj
Rodzina
Lista rodzin
Lista rodzajów
Lista gatunków
Piśmiennictwo
Wstęp
Początek