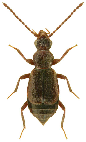
1325. Lesteva monticola Kiesenwetter, 1847

Rodzaj
Rodzina
Lista rodzin
Lista rodzajów
Lista gatunków
Piśmiennictwo
Wstęp
Początek