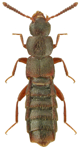
1997. Leptusa carpathica Weise, 1877

Rodzaj
Rodzina
Lista rodzin
Lista rodzajów
Lista gatunków
Piśmiennictwo
Wstęp
Początek