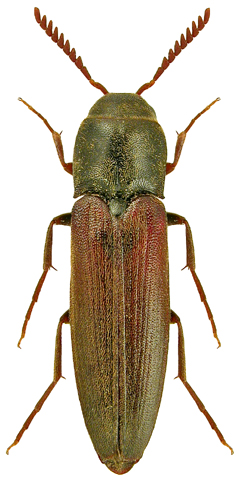
2877. Isorhipis melasoides (Laporte, 1835)

samica

Rodzaj
Rodzina
Lista rodzin
Lista rodzajów
Lista gatunków
Piśmiennictwo
Wstęp
Początek