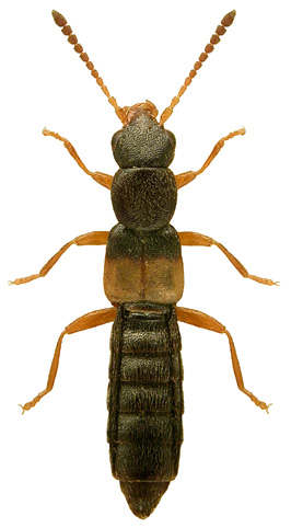
1962. Hygronoma dimidiata (Gravenhorst, 1806)

Rodzaj
Rodzina
Lista rodzin
Lista rodzajów
Lista gatunków
Piśmiennictwo
Wstęp
Początek