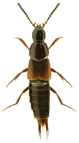
5811. Heterothops stiglundbergi Israelson, 1979

Rodzaj
Rodzina
Lista rodzin
Lista rodzajów
Lista gatunków
Piśmiennictwo
Wstęp
Początek