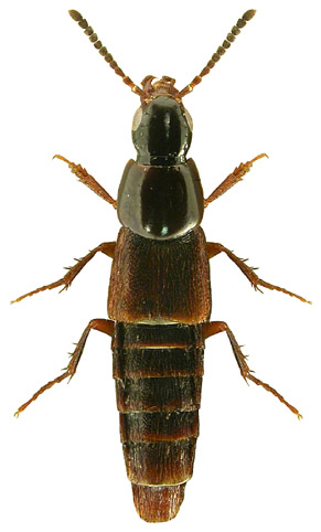
1778 i 1779. Heterothops praevius Erichson, 1839

forma typowa i ab. niger

Rodzaj
Rodzina
Lista rodzin
Lista rodzajów
Lista gatunków
Piśmiennictwo
Wstęp
Początek