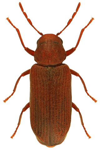
3051. Hemicoelus rufipennis (Duftschmid, 1825)


Rodzaj
Rodzina
Lista rodzin
Lista rodzajów
Lista gatunków
Piśmiennictwo
Wstęp
Początek