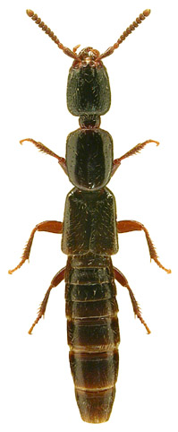
1625 i 5796. Gyrohypnus angustatus Stephens, 1833

forma typowa i ab. scoticus

Rodzaj
Rodzina
Lista rodzin
Lista rodzajów
Lista gatunków
Piśmiennictwo
Wstęp
Początek