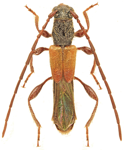
–. Glaphyra schmidti (Ganglbauer, 1883)


samiec

Rodzaj
Rodzina
Lista rodzin
Lista rodzajów
Lista gatunków
Piśmiennictwo
Wstęp
Początek