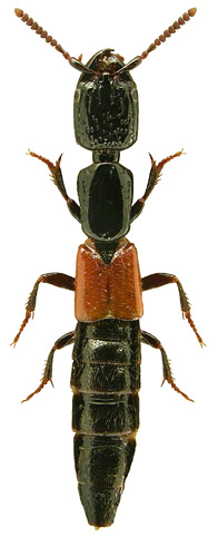
1629. Gauropterus fulgidus (Fabricius, 1787)

Rodzaj
Rodzina
Lista rodzin
Lista rodzajów
Lista gatunków
Piśmiennictwo
Wstęp
Początek