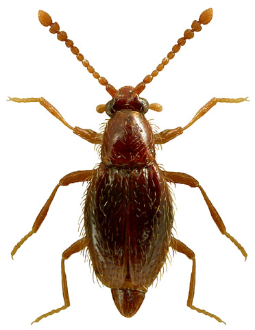
1109. Euthiconus conicicollis (Fairmaire et Laboulbenne, 1855)

Rodzaj
Rodzina
Lista rodzin
Lista rodzajów
Lista gatunków
Piśmiennictwo
Wstęp
Początek