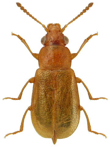
–. Eusphalerum pallens (Heer, 1841)

samiec

Rodzaj
Rodzina
Lista rodzin
Lista rodzajów
Lista gatunków
Piśmiennictwo
Wstęp
Początek