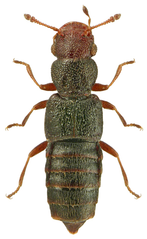
1543. Euaesthetus bipunctatus (Ljungh, 1804)

Rodzaj
Rodzina
Lista rodzin
Lista rodzajów
Lista gatunków
Piśmiennictwo
Wstęp
Początek