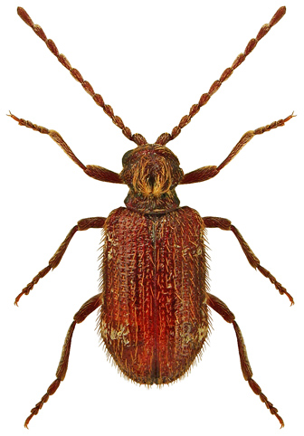
5886. Dignomus irroatus (Kiesenwetter, 1852)

Rodzaj
Rodzina
Lista rodzin
Lista rodzajów
Lista gatunków
Piśmiennictwo
Wstęp
Początek