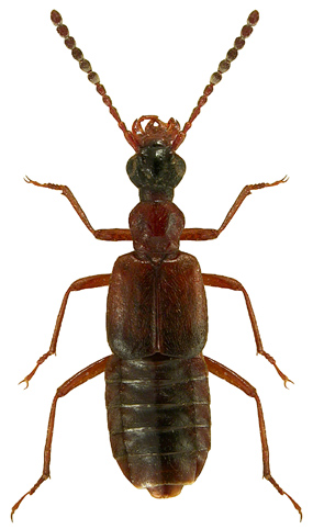
1347. Deleaster dichrous (Gravenhorst, 1802)

Rodzaj
Rodzina
Lista rodzin
Lista rodzajów
Lista gatunków
Piśmiennictwo
Wstęp
Początek