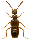
Rodzaj: Cordalia Jacobs, 1925 (1/1)
obscura Rodzina Lista rodzin Lista rodzajów Lista gatunków Piśmiennictwo Wstęp Początek
Rodzina Lista rodzin Lista rodzajów Lista gatunków Piśmiennictwo Wstęp Początek