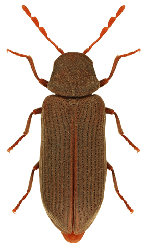
3052. Cacotemnus rufipes (Fabricius, 1792)


Rodzaj
Rodzina
Lista rodzin
Lista rodzajów
Lista gatunków
Piśmiennictwo
Wstęp
Początek