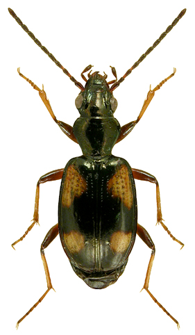
146. Bembidion tetragrammum illigeri Netolitzky, 1914

Rodzaj
Rodzina
Lista rodzin
Lista rodzajów
Lista gatunków
Piśmiennictwo
Wstęp
Początek