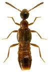
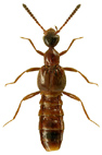
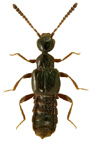
Rodzaj: Autalia Leach, 1819 (4/3)
impressa longicornis puncticollis rivularis Rodzina Lista rodzin Lista rodzajów Lista gatunków Piśmiennictwo Wstęp Początek
Rodzina Lista rodzin Lista rodzajów Lista gatunków Piśmiennictwo Wstęp Początek