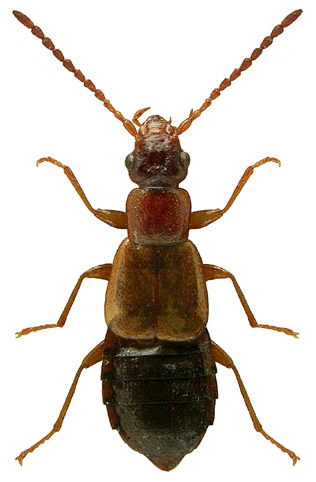
1337. Anthophagus sudeticus Kiesenwetter, 1846

Rodzaj
Rodzina
Lista rodzin
Lista rodzajów
Lista gatunków
Piśmiennictwo
Wstęp
Początek